欢迎访问四川绿威防治成都分公司官方网站!
今天是:
全国统一投诉电话:
400-000-4625
网站首页
home
关于我们
About us
关于我们
业务区域
公司资质
员工风采
公司新闻
产品服务
product
有害生物防制
消毒杀菌
空气环境治理
白蚁防制
家庭除螨
水净化方案解决供应商
药器辅助
Drug aid
器械装备
药品装备
辅助装备
客户展示
Case
餐饮娱乐
酒店宾馆
医疗学校
商场超市
工厂物流
市政物业
车站市场
其它行业
诚邀合作
cooperation
加盟代理
绿威实验室
绿威厂房
资料下载
download
资料下载
农药登记数据
有害生物防制等级
企业信用信息公示
室内环境净化行业证
物种识别
行业聚焦
news
行业动态
知识百科
视频欣赏
社会热点
联系我们
Contact us
联系我们
招聘信息
在线留言
最新动态:
绿威防治国庆放假通知及值班人员安排
2019-09-30
行业资讯
行业动态
知识百科
视频欣赏
社会热点
知识百科
您当前的位置:
网站首页
-
行业资讯
-
知识百科
12.07
2018
知识百科
【常见有害生物】衣鱼
衣鱼,亦称剪刀虫、蠹鱼、璧鱼、燕尾虫等,是一类较原始的无翅小型昆虫,属缨尾目、衣鱼科,全世界已知250种左右,我国已知20余种。该虫不仅……
12.06
2018
知识百科
【常见有害生物】白蚁
白蚁(termite,white ant),亦称虫尉属节肢动物门,昆虫纲,蜚蠊目(原本为等翅目,2007年,等翅目撤销,被归入蜚蠊目),类似蚂蚁营社会……
12.05
2018
知识百科
【常见有害生物】火红蚁
红火蚁(学名:Solenopsis invicta Buren)的拉丁名意指“无敌的”蚂蚁,难以防治而得名。其通用名,火蚁,则指被其蜇伤后会出现火灼感。红……
12.04
2018
知识百科
【常见有害生物】小黄家蚁
小黄家蚁,昆虫名,为膜翅目,蚁科。中国各地都有发现,常在厨房、封闭的阳台的杂物堆底下和墙壁缝隙等处筑巢栖息,危害较广。全身褐色。体……
12.03
2018
知识百科
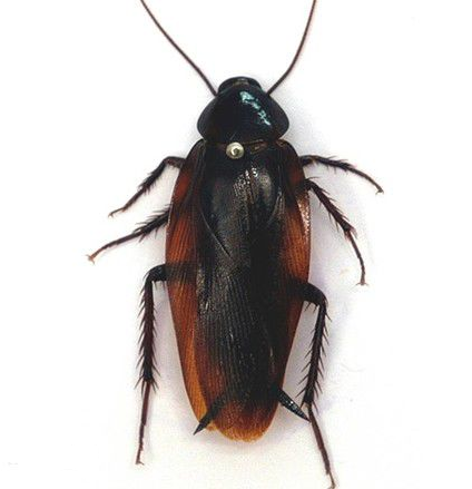
【常见有害生物】黑胸大蠊
黑胸大蠊体长30~40mm。成虫体黑色具光泽,若虫体棕红色亦具光泽。广泛分布于国内各地,在我国南方常与美洲大蠊,德国小蠊混生,但不同于美……
首页
上一页
1
2
3
4
5
6
7
8
9
10
...
下一页
尾页
028-65785308