今天是:美洲大蠊是蜚蠊科中体积最大的昆虫。
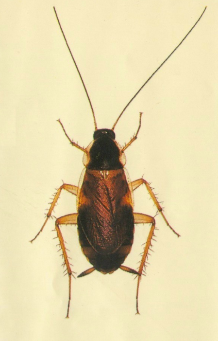
成虫体长29~40毫米,红褐色,翅长于腹部末端。触角很长,前胸背板中间有较大的蝶形褐色斑纹,斑纹的后缘有完整的黄色带纹。
美洲大蠊原产于非洲北部,公元17世纪前后经由船只带到美洲,并于18世纪被人在美洲发现。食性广泛,喜食糖和淀粉,污染食物、传播病菌和寄生虫,是世界性卫生害虫。
在南方地区为室内优势品种,主要生存于下水道、暖气沟、厕所、浴室及酿造厂、酱品厂等阴暗潮湿的环境,善爬行,飞行能力差。

形态特征
美洲大蠊是家栖蟑螂中体积最大的昆虫。成虫体长29~40毫米,红褐色,翅长于腹部末端。前、后翅发育完全,前翅远超过腹端,翅脉明显,多分枝。触角很长,前胸背板中间有较大的蝶形褐色斑纹,斑纹的后缘有完整的黄色带纹。
生活习性
美洲大蠊喜温湿环境,在21~33℃为活跃,而以28℃为最。与此相联系,它们栖生最适合的场所是饭馆、食品加工厂、食品杂货店以及面包房等,但也常侵害其他有食物的场所和地下室、下水道等。
它的食性很广,几乎可以靠任何有机物而生存。它爱好腐败的有机物,有时可见群集在垃圾堆和粪便上觅食。在室内,它除了啮食各种食物外,也可咬食书面、衣服、鞋袜子等。当缺乏食物时,它们也可以自相残食或吃掉自己产出的卵荚。
在温暖地区,美洲大蠊可终年在室外,如垃圾堆、厕所、下水道、柴堆、树皮下等生活。在温带,它们在夏季可在室外很好生存。
物种分布
美洲大蠊主要是热带和亚热带的种类,但它的分布伸达温带北部。在我国已有这种蟑螂报告的有吉林、辽宁、河北、北京、内蒙古、山东、河南、江苏、上海、浙江、福建、江西、湖南、湖北、广东、广西、海南、四川、云南、贵州以及新疆等省(区)。它是广东、广西、海南以及福建南方诸省(区)的优势种。
繁殖状况
卵鞘初期为白色,渐变褐至黑色,每鞘有卵14~16粒,卵期约45~90天(热天只需要20~30天)。若虫约经过10次蜕皮后化为成虫,若虫期长约1年多,温度高、食料丰富时,只需4~5个月。
雌虫成长1~2星期便产卵,一生可产30~60个孵鞘,多至90个。成虫寿命约1~2年,完成1代约需2年半。
无雄虫时,雌虫能产不受精卵鞘,其中部分孵化出雌若虫,高温有利于无性生殖。此虫善疾走,也能作近距离飞行。但相比于最强的家栖蟑螂-德国小蠊,美洲大蠊若虫的成虫率不高,常常因为蜕皮失败、被天敌捕食等种种原因死亡,因此种群数量不会太多。

主要危害
美洲大蠊食性广泛,喜食糖和淀粉、污染食物,传播病菌和寄生虫,是世界性卫生害虫。
科研人员发现它们体表或多或少带有痢疾杆菌、沙门氏副伤寒甲乙杆菌、绿脓杆菌、变形杆菌,还有蛔虫、钩虫、蛲虫及兰氏贾弟鞭毛虫的卵等。据报道美洲大蠊的肠道中还常保存着活性霍乱弧状细菌、结核病杆菌、麻疯病杆菌等。此虫是人类许多传染性疾病的重要媒介,主要传染肠道病。美洲大蠊分泌物和粪便还含有致癌物质。
控制方法
一、下水道是蟑螂进入室内的主要通道,可以定期往下水道内灌入开水,将寄生在里面的蟑螂烫死,并盖紧水封。
二、将洋葱、面粉、硼酸和灭蟑螂药混合在一起,再用手将其揉成直径约1厘米的小球,在牛奶中浸泡两三个小时后,放入空玻璃瓶中,并将瓶口用软硬适度的纸片盖好,用皮筋扎牢,中间扎个小孔。蟑螂闻味儿而来,很容易落入瓶底。
三、蟑螂怕冷,多藏匿在电视机、冰箱等家用电器周围。可将这些地方作为清洁和消灭蟑螂的重点部位。此外,蟑螂还喜欢潮湿的环境,应尽量保持室内干燥、不留积水,特别是厨房和卫生间内。
四、蟑饵剂 蟑无迹