今天是:黑胸大蠊体长30~40mm。成虫体黑色具光泽,若虫体棕红色亦具光泽。广泛分布于国内各地,在我国南方常与美洲大蠊,德国小蠊混生,但不同于美洲大蠊和德国小蠊,它不是入侵物种,而是本地一种美丽的蜚蠊。能携带肠道病毒、黄曲霉菌、脊髓灰质炎病毒、蛔虫卵等。

简介
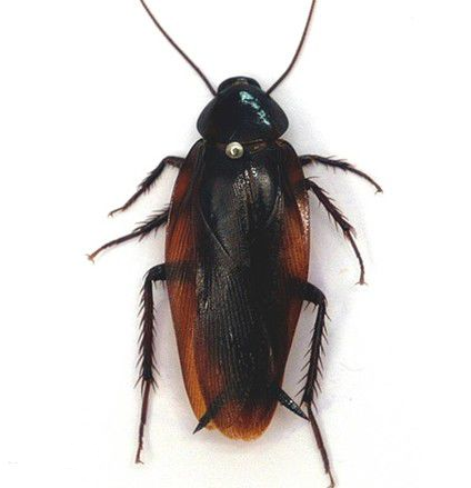
黑胸大蠊(Periplanete fuliginosa Serv.)体大型。头黑褐色,有较强的光泽,仅单眼黄色,唇基赤褐色。前胸背板黑色或黑褐色,具强光,略为梯形,前缘接近平直,后缘弧形。体躯及足黑褐色。雄虫腹部背板第一节特化,前缘中央有呈圆形的毛茸。雄虫肛上板近似长方形,基部宽,端部窄,后缘中部略向前,凹陷或平直,中央有一小切口,或稍稍隆起为短脊;在缺口处有一对圆形小突起,表面具短刺,反面有疹状突起,从肛上板后缘露出。阳茎叶端部扁平,接近顶端处有3伸向侧面的突起,突起端部稍稍有点弯。雌虫肛上板前宽后窄,略呈三角形,中线隆起呈脊,两侧倾斜,后缘具三角形缺口,形成左右两叶片,端角钝圆,切口顶端尖锐。下生殖板雄虫宽短,后缘中部略凹入呈缓弧形,有的中央有缺口;雌虫大形,前宽后窄略呈三角形,中线向下隆起,两侧上倾,形如船头。尾须黑褐色,端部尖锐。

生活史
黑胸大蠊完成一个世代需324.93天。成虫子4月下旬开始羽化j至8月下旬结束,高峰是5月下旬( 雄虫)和7月上旬(雌虫)。雌成虫子5月中旬开始产卵,至翌年1月下旬结束,高峰是7月下旬,产卵前期l5.1±0.74天,产卵期155.8±12.9天,产卵后期29.8±8.4天,每头雌成虫产卵鞘27.67±2.17个,产卵间隔时间6.75±0.66天,成虫寿命202.3±16.45天,卵鞘历期46.03±1.68天,每个卵鞘含卵20.51±0.97粒。若虫有8~9个龄期,经7-8次蜕皮后变为成虫。大部分(85.71%)雄性若虫经7次蜕皮变为成虫。大部分(75.00%)雌性若虫经8次蜕皮变为成虫, 若虫历期263.8天。
生活习性
对温度要求较宽,分布较广,喜在室内阴湿场所栖息,昼伏夜出;食性复杂,喜食糖类、淀粉类食品。在室内的栖息地很广,但以厨房为主,多数栖居在碗橱、桌子、抽屉角落炉灶边缝隙及水池下,煤饼堆等地,在卧室中的衣橱、书架、桌子等也有发现,尤其是旧家具中。黑胸大蠊有时在晚上可受光的引诱飞入室内
分布
口岸:湛江、桂林、梧州等。
国内:广东、福建、广西、台湾等省区
食性
黑胸大蠊的食性比较复杂,但以喜食香甜是食品如面包、饼干及其他有机物,如垃圾、泔水等。在进室内觅食活动的同时把许多的病原体带到室内,如细菌、病毒、霉菌、原虫包囊、金黄色葡萄球菌、痢疾杆菌、鼠伤寒杆菌、霍乱杆菌等。研究发现黑胸大蠊中寄生52 种细菌。研究表明,黑胸大蠊不仅可以机械性传播多种疾病,而且还可以引发外源性的哮喘等过敏性疾病。虽然它们的生存能力、适应环境的能力都较强,但其取食量和寿命也受到外界因素( 如湿度、温度、食物的质量、天敌等) 的影响

(产卵的黑胸大蠊)
价值
早在我国古代就有记载其可入药,具有消肿止痛、治疗无名中毒等多种病症之功效;在《神农本草》、《使用本草》和《金匮要略》等古代书籍中也有一些记载。近年来,黑胸大蠊体又成为生物化和基因方面的研究热点,对其浓核病毒NS2 的表达、抗体的制备、亚细胞的定位等方面的研究取得了一定的进展。综上所述,它具有药用、食用、研究等多方面的价值。
综合防治
黑胸大蠊携带较多的致病菌而其生活在室内对居民的健康构成威胁,了解黑胸大蠊的食物,就可以在其食物中添加农药或化学成分。例如,杀虫环和氯氰菊酯异构体等损害其神经系统或破坏其生理代谢系统,从而将其杀死,也可以利用生物法进行防治,利用黑胸大蠊的敌害动物,如可以用寄生在黑胸大蠊卵内的天敌来避免其大量繁殖 。在火车、档案室、轮船、厨房等,投放其喜爱的带有农药的食物将其杀死,保护重要档案,防止食物污染,减少设施损害,可以节约大量费用开支
化学防治才是终结蟑螂的方法。杀蟑胶饵对各种蟑螂,杀蟑胶饵对蟑螂具有优越的连锁杀灭作用,通过蟑螂有吃同类的习性,中毒蟑螂死后被其它蟑螂争吃粪便或尸体,可造成连续中毒致死效应。除此之外,杀蟑胶饵还是安全无毒,对人没有害的。在分布贴药一天后,蟑螂达到死亡高峰,可见现场发现蟑螂即食后中毒,活动迟缓或阻留在巢穴。蟑螂密度迅速降低,3-5天后,蟑螂死亡率逐渐增多。